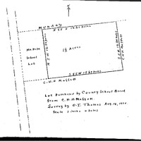
EWP 3-4 Yr 1924 Mt Hope Land Survey
Item
- Title
- EWP 3-4 Yr 1924 Mt Hope Land Survey
- Tag
- land, transaction, sale, acres, Mt Hope, school, lot, County School Board, survey, acquisition
- Place
- Virginia
- Identifier
- 1018845
- Is Version Of
- 1018845_EWP_3-4_Yr_1924_Mt_Hope_Land_Survey_.pdf
- Is Part Of
- Preservation Records
- Date Created
- 8/2/23
- Format
- PDF Document
- Publisher
- Digitized by Edwin Washington Project
- Rights
- Loudoun County Public Schools
- Language
- English
- Number of Pages
- 1